La Parrot Sequoia cuenta con una excelente precisión y una integración muy flexible en cualquier tipo de dron.
Parrot, es una empresa de referencia en la fabricación de cámaras y diferentes accesorios para drones. Una de sus últimas novedades es la cámara multiespectral Sequoia, ideal para su uso en labores relacionadas con la agricultura de precisión.
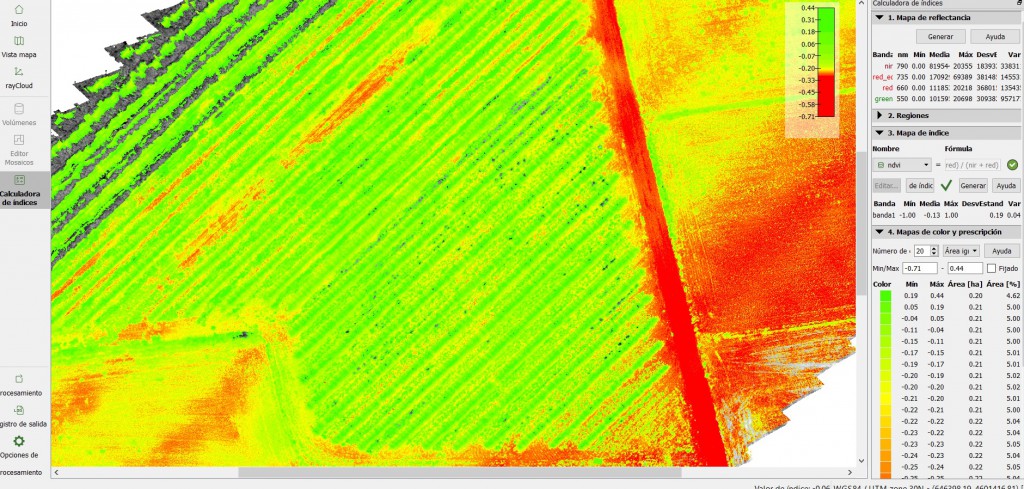
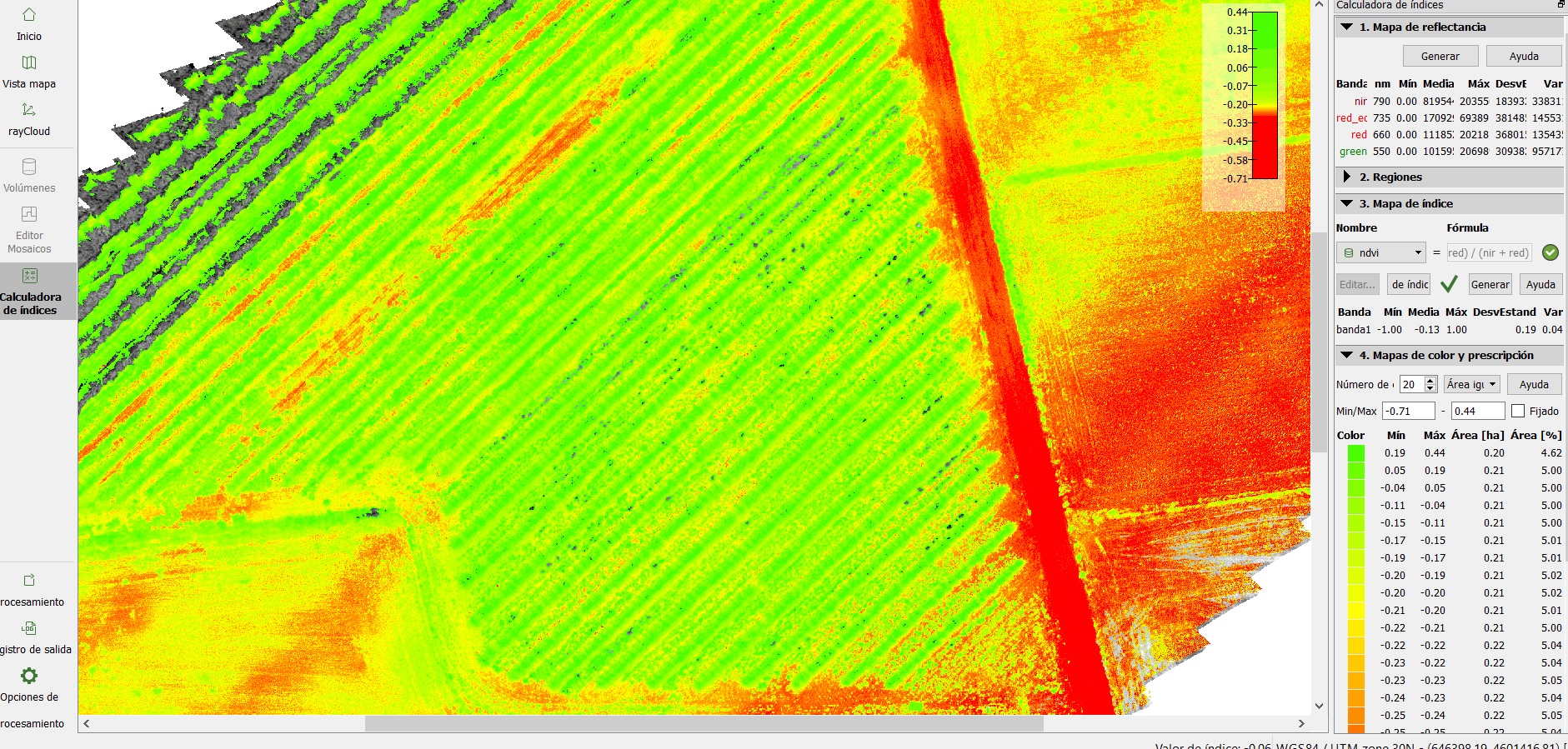
El uso de la Parrot Sequoia junto con otras técnicas agrícolas avanzadas, arroja como resultado una gran ayuda para el agricultor en todas las fases del proceso de producción y le permite responder a las necesidades que vayan experimentando los cultivos de una forma certera. El uso de tecnología de este tipo es eficaz a la hora de evaluar el crecimiento de un cultivo, su salud, saber de manera rápida si está afectado por plagas o si tiene exceso o defecto de riego entre otras muchas posibilidades.
El sistema está compuesto por dos elementos. Por una parte se encuentra la cámara multiespectral que inspecciona el terreno, y por otro lado, dispone de un sensor solar que mide y registra durante el vuelo de forma continua las condiciones de luz en las mismas bandas del espectro que el sensor multiespectral. Los datos lumínicos recogidos permiten confirmar los valores de los datos espectrales identificados.. Esta configuración permite obtener los valores instantáneos para comparar la actividad solar y el estado del cultivo.
La Parrot Sequoia cuenta con una excelente precisión y una integración sencilla y muy flexible. Su reducido tamaño y su escaso peso, hacen de la Parrot Sequoia una cámara ideal para adaptarse a todos los tipos de aviones no tripulados: tanto ala fija como multi-rotor, con o sin cardanes.
A modo de resumen podríamos destacar las siguientes características:
- Cámara multiespectral especialmente indicada para la agricultura de precisión
- Configuración sobre WIFI
- Auto-calibrado usando el sensor de sol
- Cámara RGB 16 Mpx para el Movimiento Scout
- Memoria interna de 64Gb de capacidad.
- Graba imágenes en cuatro canales diferentes: verde, rojo, rojo edge e infrarrojo cercano.
- Sensor luminoso que graba las condiciones de luz y calibra automáticamente los cuatro sensores multiespectrales
- Alta tasa de foto (1 imagen por segundo)
- Independiente desde el avión no tripulado
- Protocolo estándar (PTP) para la comunicación con aviones no tripulados
- Peso de la cámara 72 gr.
- Dimensiones: 41 x 28 x 59 mm.
- Peso del sensor de luz 35 gr.
En ACG Drone somos adictos a la Parrot Sequoia. La utilizamos en los diferentes trabajos relacionados con la agricultura que estamos realizando y hasta el momento sólo podemos hablar de buenos resultados.
Si necesitas más información al respecto, te invitamos a que contactes con nosotros.


Buenos dias. Estaría interesado en una cámara multiespectral para un inspair me gustaría saber precio y si se le puede adaptar
Buenos días, teóricamente no se puede instalar una cámara multiespectral en un Inspire, pero hay otras opciones. Mándanos un mail a: info@devold.acgdrone.com y te asesoraremos